Se esperan leves chubascos y altas temperaturas para hoy, informó la Comisión Nacional del Agua.
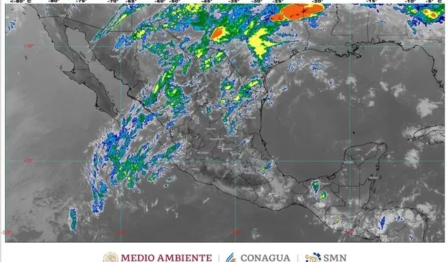
La aproximación de un frente frío al norte del territorio nacional en combinación con la corriente en chorro subtropical e inestabilidad en niveles altos de la atmósfera, originará chubascos con descargas eléctricas y posible caída de granizo en Coahuila, Nuevo León, San Luis Potosí y Tamaulipas. Así como lluvias aisladas en Chihuahua, Durango y Zacatecas. Asimismo, continuarán las condiciones para la formación de torbellinos en el norte de Coahuila.
Por su parte, la corriente en chorro polar causará chubascos en Baja California; viento con rachas de 60 a 70 km/h y tolvaneras en el occidente de la Península de Baja California, y rachas de 40 a 60 km/h con tolvaneras en Chihuahua, Coahuila, Durango, Nuevo León, San Luis Potosí, Sinaloa, Sonora, Tamaulipas y Zacatecas.

Chubascos
Debido a canales de baja presión sobre el centro y sureste del país, y la entrada de humedad procedente del Océano Pacífico, el Golfo de México y el Mar Caribe, se pronostican chubascos para Chiapas, Michoacán, Oaxaca, Puebla y Veracruz; lluvias aisladas para la Ciudad de México, Estado de México, Guanajuato, Guerrero, Jalisco, Quintana Roo y Tabasco, y viento con rachas de 40 a 60 km/h con tolvaneras en Campeche y Yucatán.
Durante la mañana del viernes, las temperaturas mínimas serán de -5 a 0 grados Celsius con heladas en zonas montañosas de Baja California, Chihuahua y Durango, y de 0 a 5 grados Celsius con posibles heladas en zonas montañosas de Aguascalientes, Estado de México, Guanajuato, Hidalgo, Jalisco, Puebla, Sonora, Tlaxcala, Veracruz y Zacatecas.
Calor
En la tarde, continuará el ambiente de cálido a caluroso en la mayor de la República Mexicana, con temperaturas máximas de 40 a 45 grados Celsius en Guerrero, Michoacán y Morelos.
De 35 a 40 grados en Campeche, Chiapas, Colima, Jalisco, Nayarit, Oaxaca, Quintana Roo, San Luis Potosí, Sinaloa, Tabasco, Veracruz, Yucatán y el sur de Sonora, y de 30 a 35 grados Celsius en Aguascalientes, Baja California Sur, Coahuila, Durango, Guanajuato, Hidalgo, Nuevo León, Puebla, Querétaro, Tamaulipas, Zacatecas y el suroeste del Estado de México.


